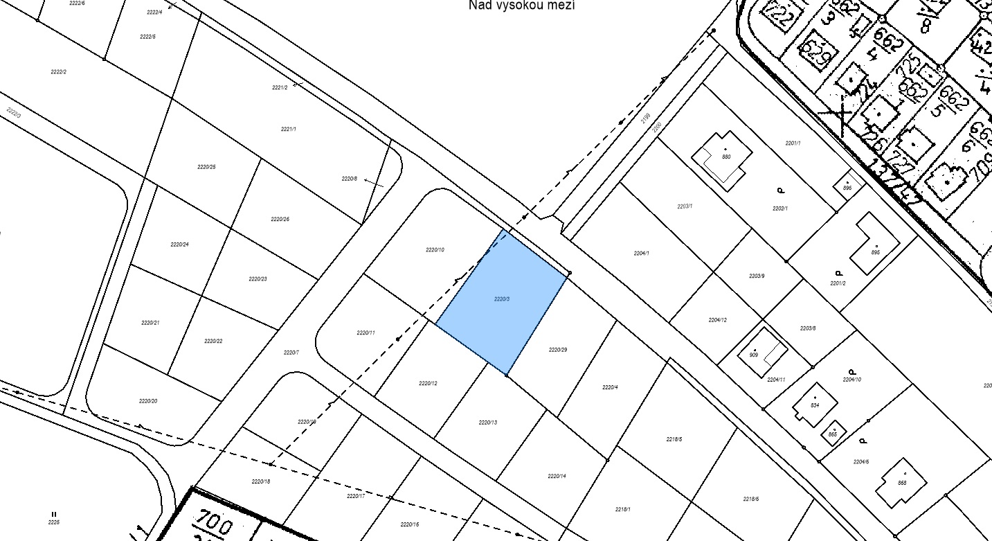
Prodej pozemku k bydlení, 1423 m², Kácov
Prodej rovinatého pozemku vhodného k výstavbě o výměře 1423 m² v obci Kácov.
Prodej rovinatého pozemku vhodného k výstavbě o výměře 1423 m² v obci Kácov.
Prodej rovinatého pozemku vhodného k výstavbě o výměře 1423 m² v obci Kácov.
Stavební parcela 2220/3 k bydlení v rodinných domech Z17 dle územní studie 3 - FARÁŘSTVÍ.
Na hranici pozemku je elektřina. Vodu lze vyřešit studnou a odpad do jímky nebo vlastní ČOV.
Lze financovat úvěrem.
Dopravní spojení: Příjezd osobním autem
Kanalizace: Není
Elektrický proud: Na hranici pozemku
Zavedené inž. sítě: Dosud nezavedeny
Charakter pozemku: Stavební parcela
Okolní prostranství: Venkovská zástavba, Zahrady
Oplocení: Není
Využití volného času: Cykloturistika, Pobyt v přírodě
Stav nemovitosti: velmi dobrý
Plocha pozemku: 1423 m2
Vlastnictví: Osobní
Umístění objektu: klidná část obce
Nabídková cena včetně kompletního realitního a právního servisu: 3 999 000 Kč.

Jmenuji se Petr Doležal a již 25 let se pohybuji v oblasti realit. Můj příběh začal jako malý sen o pomoci lidem najít jejich ideální domov. Během let jsem se stal odborníkem, který rozumí nejen trhu, ale i potřebám svých klientů.
V mé praxi se snažím kombinovat moderní technologie s osobním přístupem. Každý krok procesu je pro mě důležitý a věřím, že transparentnost a důvěra jsou klíčové pro úspěšnou spolupráci. Těším se na to, že budu moci pomoci i vám na vaší cestě za novým domovem.